Nesta última terça-feira (15), um caso inusitado envolvendo a ingestão de itens incomuns foi flagrado e registrado na Colônia Agrícola Penal de Palhoça, em Santa Catarina.

Tudo teve início durante o retorno de um dos detentos do período de saída temporária.

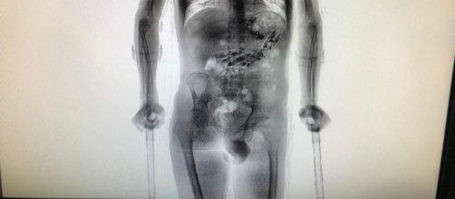
Detento é flagrado com objetos no estômago em Santa Catarina e precisa passar por cirurgia

Um detento de 24 anos, que não teve sua identidade revelada, deixou a Colônia Agrícola Penal, penitenciária situada no município de Palhoça, para usufruir de um período ao lado de familiares durante uma saída temporária.

Gozando de sete dias longe do presídio, ao retornar para o sistema prisional, o detento precisou ser submetido a uma cirurgia de emergência, devido ao fato de ser constatado que o mesmo havia ingerido 62 objetos e estes estavam todos alojados em seu estômago.

Detento ingeriu 62 objetos, dentre eles 10 aparelhos celulares

Após retornar de uma saída temporária de sete dias, o detento, que sofre de uma deficiência física, foi flagrado com 62 objetos dentro do estômago. A constatação dos objetos foi realizada por meio de um aparelho scanner.

Ao chegar no presídio para retornar à sua cela, onde cumpre pena por porte ilegal de arma, roubo e tráfico de drogas, o presidiário precisou ser submetido a uma revista corporal, onde o mesmo passa por um detector de metais.

Ao passar pelo aparelho, a presença de metais foi diagnosticada, o que despertou a atenção dos policiais.

A fim de fazerem uma vistoria mais detalhada no corpo do detento, os policiais o encaminharam para o Complexo Penitenciário do Estado, localizado na cidade de São Pedro de Alcântara, onde foi realizada uma nova inspeção de imagens com um aparelho mais moderno capaz de scanear o corpo humano e gerar imagens mais detalhadas.

Ao passar pelo scanner, foi possível detectar a presença de diversos objetos metálicos no estômago do detento.

Ao todo, foram encontrados dez aparelhos celulares e mais outros 52 objetos metálicos, tais como cabos USB, isqueiro, e uma quantidade de drogas.

Certos de que o homem corria risco após a ingestão dos objetos, o mesmo precisou passar por uma cirurgia estomacal delicada.

O procedimento cirúrgico aconteceu nesta última quarta-feira (16).

Todos os objetos foram retirados do corpo do detento, o mesmo segue internado mas passa bem.

A Secretaria de Justiça e Cidadania informou que o preso responderá criminalmente pelo caso.